PORTO MANTOVANO – Lavori in vista a Porto Mantovano, dove la giunta ha approvato i progetti definitivi-esecutivi relativi a due opere di grande rilevanza per il territorio.
Si parte con gli interventi al palazzetto dello sport di Soave, dove l’estate prossima, si provvederà alla sostituzione dell’attuale pavimento, ormai deteriorato a causa della vetustà e del frequente utilizzo. Il progetto prevede, inoltre, la rimozione dell’attuale tribuna per lasciare spazio ad una moderna tribuna telescopica.
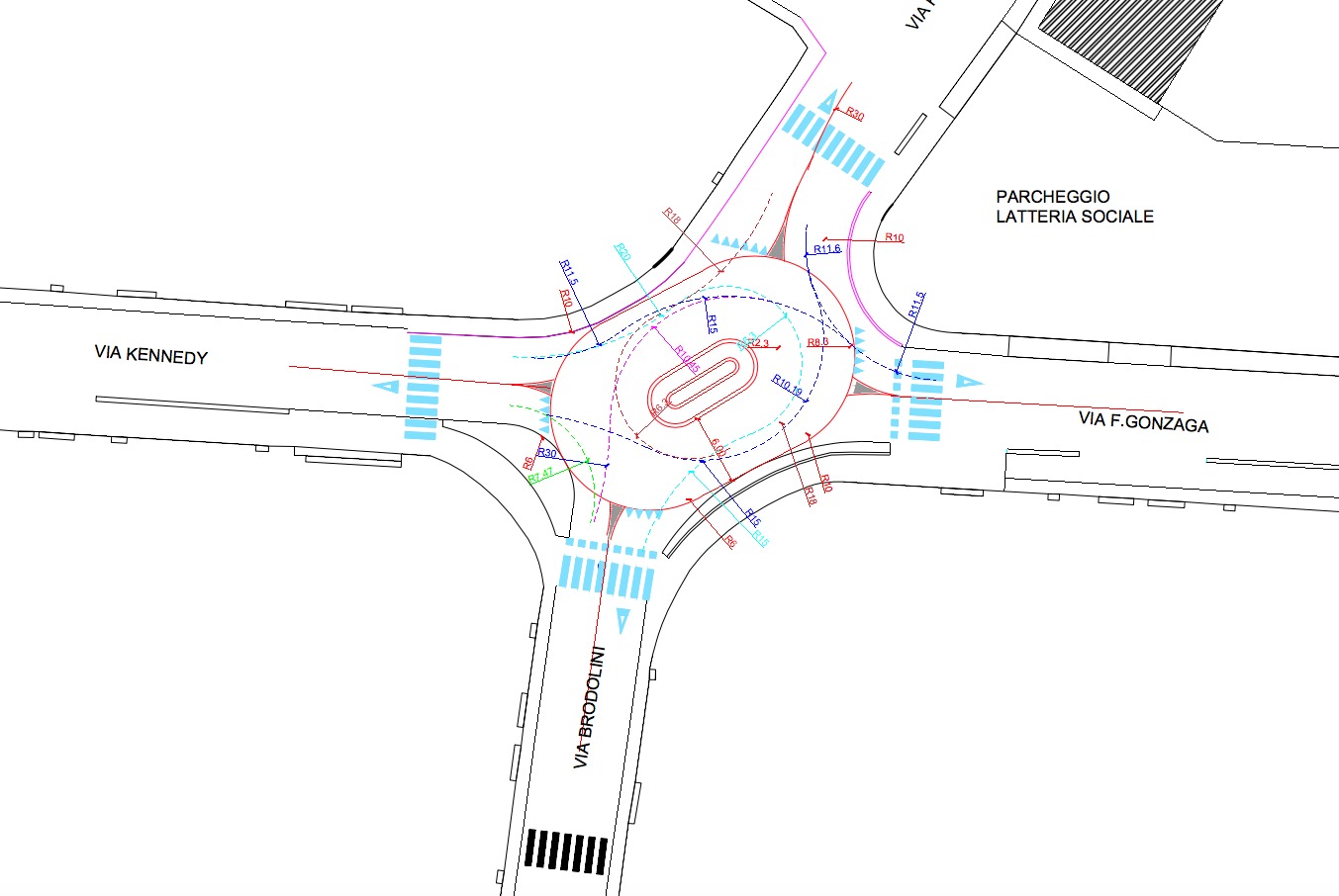
Il secondo progetto approvato dal Comune riguarda, invece, via F.lli Kennedy, importante arteria urbana del territorio. L’opera è finalizzato a: riqualificare la sede stradale del primo tratto di via Kennedy e dell’intersezione stradale via Kennedy/via Brodolini, migliorando le condizioni di sicurezza e fruibilità e garantire i collegamenti tra i percorsi ciclopedonali esistenti e migliorare la sicurezza e accessibilità dei percorsi in genere. A tale proposito, all’incrocio con via Brodolini sarà realizzata una nuova minirotatoria sormontabile, che permetterà di regolare il traffico e consentire un collegamento in condizioni di sicurezza dei percorsi ciclopedonali attualmente esistenti lungo le direttrici interessate dall’intersezione stradale. Prevista anche la creazione di percorsi protetti e adeguati (come marciapiedi e attraversamenti pedonali), specie per le utenze deboli (pedoni, persone con handicap, anziani) che permetterà di recuperare un’importante caratteristica funzionale dell’asse viario, cioè la sua vocazione urbana e di interazione con il centro del paese.



















